Farm Bureau Co-op
This is just a start - more research on this is needed. Clicking on the
images will allow a larger view.
Dillon & Castleman
1894 - James Castselman, who has been a guard at the Michigan City prison
for sometime and who resigned on accounty of ill health, has returned to
Marmont, and has entered into partnership with Mr. Cass Dillon, they having
leased the elevator of H. G. Thayer & Son, and will continue the business
at the old stand. The farmers will be glad to see Jim's smiling face again.
1896 - Dillon & Castleman have closed the elevator and will try no more
grain at this place -
Thayer Eleavator
 |
Marmont Grain Elevator - H. G. Thayer & Son., 1897 |
James Castleman has leased the H. G. Thayer & Son’s elevator in this city
for the term of two years, and will in the very near future be ready to
buy all kinds of grain. He will also keep constantly on hand, feed of every
description, and deal in hard and soft coal, salt, seeds, flour, etc 1897
| 1897, Nov. 16 An ad appearing in that issue of the Herald |
 |
1898 - Aug 26 - Mr. J. Castleman, of the Culver grain elevator, has paid
upwards of $30,000 to the farmers of this vicinity during the past year
Dillon & Castleman
1903 - 190_ Dillon & Castleman
9 Jul 1903
The Elevator Opens
Farmers can now bring their grain to Culver and receive the highest market price for it.
Dillon & Castleman have opened the Thayer elevator and are paying seventy cents per bushel
for No. _ Wheat, thirty-three cents for oats and forty-five cents for rye. They have just
received a car load of corn and will always keep a big supply on hand. See market reports in
another edition.
1904 - May 12 - The elevator is now closed. Arthur Castleman has accepted a position with
he St. Louis Hay and Grain Co.. and will leave for his work in several weeks
1905 - Jun 9 - Medbourn and Dillion are repairing the elevator and putting it in the best
condition possible. If indications do no fail, we will have a magnificent crop of wheat,
the bulk of which should be marketed here
1905 - Aug. 10 - The elevatior at Culver is open for buisness. We are prepared to handle all
kinds of grain for which we will pay the highest market price. - Dillon & Medbourn
1906 - Apr. 26 - Office Burglarized
Dillon & Medbourn's office at the elevator was broken into on Sunday night, but no loss of
ptoperty followed the robbery
Two men, wearing rubbers, did the job as was evidenced by the tracks left in the sand.
Doubtless they were strangers as the firm has no safe and leaves no money in the office
overnight.
The front door of the office was burst open by the aid of some tools which had been
stolen from the tool house at the depot.
larger</center>
The above building can be dated back to 1906 and as late as 1924 per the Sanborn maps below;
it seems the south part was partially gone by the 1914 Sanborn map and by 1924 the south
section seems to have been removed
to the left can be seen the Kreuzberger
building; some store tops and one of the steamboats of the lake.
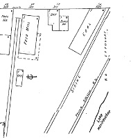
| 1906 - Dillon & Medbourn Grain Elevator - The Area per the
Sanborn Fire Map. |
/a> |
S. E. Medbourn and son
1906 - Dec 22 - from 20 year ago column - The Culver City Grain and Coal
Co. is the title of the new firm of S. E. Medbourn and son, who are now
conducting the eleavator.
Harry Medbourn the son, who is thus entering a business career is one of
Culver's promising young men. During the summer he has bee an efficient aid to
Capt. McCoy at the Lake View Hotel, showing good business qualifications and an
enterprising dispoistion
 |
A view of E. Jefferson Street about 1908-1910; there seems at this time
no visible "Grain elevaors" |
1908 - Samuel Medborn Out Lot
Ice House
The Ice House with no chanel shown
Elea(vator)
|
 |
1908 - Jul 16 - The Medbourn Elevator has added to its facilities a new
dump with a capacity of 400 bushels, 100 feet of driveway, and a new scales.
1908 - Nov. 5 - Among the many improvments at the Medbourn elevator this
season that of the painting the big structure is noticeable and pleasing
1909 - Apr 22 - Medbourn is putting up a storehouse for lime and cement on
the sidetrack at the elevator.
1909 - October 21, - Medbourn is erecting a corn crib which will be 12 feet
wide and upwards of to 90 feet long at the elevator
1912 - Apr 18 Will Build Storehosues
The Culver City Grain and Coal Company is erecting two storehouses one 20x50
ft. for flour, and one 20x40 ft. for feed.
The company has the agency for this territory for the Plymouth flouring mill and
the 500 barrell capacity of the storehouse will enable it to keep a good stock on
hand.
Hawkins, Ezra Hawkins
1912 June 6 — A New Deal At Elevator
One of the most extensive changes which have taken place here in late years is
the sale of the grain, coal, flour and cement business of S. E. Medbourn and Son to
Erza Hawkins. The transfer was
made last Monday and Mr. Hawkins is in possession with his son, Fred, as office
assistant...
The senior Medbourn ... took on the grain and coal business in 1905. The latter branches
have also grown until the combined interests have become to large for one man to look after,
even with the efficient help which he has had in the persons of Arthut Castleman, Charles
Medbourn and Harry Medbourn... Arthur Castleman severes his connections with the company...
1912 June 20 - Ray Marshall has taken an interest with his father-in-law, Ezra Hawkins, in
the Culver City Grain & Coal Co. Meantime, he will continue his duties as right hand man
to Major Greiner in the commandant's office at the Academy until his successor is
Appointed
1913 - Aug. 14 - Castleman & Williamson has taken over the elevator on a years lease.
Hawkins & Marshall will continue the buisness
Castleman-Williamson Co.
1913 - Aug. 14 - Notice - We wish to call the attention of our patrons to the fact that we
have leased our elevator and turned over all our buisness, with the exception of coal and
wood, to Castleman-Williamson Co. for the period of one year. We will continure to sell
coal and wood at the old place. We have retained our old accounts. Hereafter our terms will
be cash. Hawkins & Marshall.
1914 - Feb. 19 - Elevator Catches Fire
The Castleman-Williamson elevator had a narrow escape from destrcution on
Saturday forenoon.
When Arthur Castleman was starting the engine he saw a blaze in the elevatior
tower.
By the time a ladder could be raised and water carried up the timbers supporting
that shafting were will a blaze.
An alarm had been telephoned and the fire bell brought out the fire company - and
everybody else who wasn't bedfast.
The fire had no doubt caught from an overheated journal the day before and had
considerately waited until an opportune time before breaking out.
Hawkins & Co., Ezra Hawkins
1914 - Aug. 6 - Elevator Notice - After Aug. 11 the udersigned will occupy the
elevator and will pay the highest market price for grain, cowpeas, etc.
Hawkins & Co.
1914 - Aug 13 - The Old Elevator - We are now running the old established elevator
and paying the highest marker prices for grain. We also handle flour and feed. Culver
City Grain and Coal Co. New Phone NO. 248
1914 - Aug 20 - Announcement We had had 22 years of experieince in the grain,coal
cement, and seed business and are well qualified to furnish you the very best grades of
any material we handle.
You all know the superior quality of Peninsular Portland cement, Occident
flour, Scranton anthracite coal; and also the Kentucky soft coal leads
all other coal of anything near the price.
You farmers all know we have always been a booster in grain prices. We handle
exclusively the Albert Dickenson Co. seeds and such other merchandise as we can
use that the handle. Their repuataition needs no recommend for quality.
As to cow peas we handled last year near 70,000 bushels. Why? Beause we paid the
price and treated the rade right.
We thank you for all past favors and respectfully solicit your continuance, and
we are at you command. We are now located in the Onion Storage, Culver, and at
the New Eevator at Ober. - Castleman & Co.
 |
1914 Sanborn Map - Culver City Grain & Coal Co. |
1916 - Feb. 10 - Ezra Hawkins has concluded to turn his attention to farming,
though he does not contemplate at present giving up his mail route. He will
offer his elevator and coal business at auction in the near future.
Hawkins, Lloyd Hawkins
1916 - Feb. 17 - Ezra Hawkins has decided not to sell the elevator. It has been
rented to Lloyd Hawkins
1919 - Jul 23 An attempt was made Monday night to burn the Hawkins elevator by
pouring kerosene on some hay. No damage was done.
Hawkins & Osborn
1921 - June 1, Hawkins and Osborn are installing a coal conveyor at their yard.
1922 - Plat Map. - Hawkins & Osborn
Also shows Sam'l Medbourn Out Lot 1 - and the Sam'l Medborn Ice channel
property from Ice houses to the lake. |
 |
After the last ice house burnt sometime there after on the lot several
steel quonset hut buildings were erected for storage for the grain company.
 |
1924 Sanborn Map - Seems to have reverted back to the name of
Culver City Grain & Coal Co. |
Medbourn, Harry Medbourn
1929 - May 15 - Harry Medbourn Buys Coal Company of Loyd Hawkins
The Transaction was completed last Wedensday whereby Harry Medbourn purchased
the Culver City Coal & Grain Company of Lloyd Hawkins
He places to continue the business along the same lines Mr. Hawkins followed
during the sixteen years he headed the concern.
Mr Hawkins makes no announcement of his plans for the future.
The business of the coal company will be kept separate from that of the
Medbourn Ice Company.
1929 - October 11. Another old landmark is passing into the scrap heap with
the tearing down of the elevator of the Culver City Grain and Coal Co.
1931 - Sep 23 - Medbourn Installed Feed Grinding Machinery - Harry Medbourn,
proprietor of the Culver City Grain & Coal Co., has completed the installation
of grindinh and mixing machinery for feeds and grains. Mr. Medbourn has made
this improvement so that local farmers can use their own grains and also use
their own formula. The new equipment is complete in every way and able to handle
all types of feed grinding.
 |
1930's or even 1940's |
1934 - 8 Aug. - The office of the Culver Grain & Coal Company has been more than
doubled in size by the erection of an addition.
1937 - Feed Mill [no name attached to it on the Sanborn Map]
Samuel 'Sam' Medbourn ran the ice house nd the mill. Medbourn's employees were Charlie
Bush, Ed Hawk, Foster Butler, enneth Bush and Bill Crossgove and sometime Leo Butler.
Della mary was the secretary.
|
 |
 |
1945 - July 14, 1948 A new building is being erected by the Culver City
Grain & Coal Co., and when completed will be the highest building in town. It
will house a modern feed mill that will furnish farmers top service in every
respect. Harry R. and Sam M. Medbourn are the proprietors. |
1949 February 9 - An automatic fire siren has been installed in the new elevator of
Culver City Grain & Coal Co., giving the large structure a full time "watchman" for
detection of fires.
1949 - Feb 23, - Harry Medbourn and Sam Medbourn, proprietors of the Culver Grain and Coal
Company announce plans for the grand opening of the recently completed Feed Mill and Elevator.
Construction was begun in 1947 and operation of the
new plant
was inaugurated just recently.
1953 - June 3, - Samuel M. Medbourn, proprietor of the Culver City Grain and Coal Co., has
announced that George Phillips has purchased an interest in the long-established firm
1953 - Sep. 30 - A two-alarm fire Monday morning threatened to destroy the Culver City Grain & Coal
Company.
1957 - Jan. 30 - JANUARY 30 - One of Culver 's oldest and most successful businesses, the Culver City
Grain and Coal Company, is being purchased by the Marshall County Farm Bureau Co-op, effective Feb. 1
Marshall County Farm Bureau Co-Op Association, Inc.
1957 FEBRUARY 13 The Marshall County Farm Bureau Co-Op Association, Inc., litis purchased the Culver City
Grain and Coal Company from Samuel Medbourn and George Phillips, co-owners, and have named Maurice
Curtis as the new manager of the Culver Branch of the Farm Bureau.
1957,Feb.-1965 - Farm bureau Co-op,
Maurice Curtis, Manager
1960 - Marshall County Farm Bureau Co-op - 319 E. Jefferson - VI 2-3450 (Telephone directory listing)
1967 - Co-Op Elevator Feed, Grain & Fertilizer Verne Weiger, Mgr. Culver , Ind. (Telephone directory listing)
1974 - Farm Bureau Co-op 319 E Jefferson - 842-3450 (Telephone directory listing)
1975-1977 - Marshall County Farm Bureau Co-op - 319 E. Jefferson - 842-3450 (Telephone directory listing)
1977 - oct 27 the grain elevator was completely destroyed in a
four-alarm blaze which Culver,
Monterey, Aubbeenaubbee Township, and Plymouth fire departments fought for hours.
1978 -1980 - Farm Bureau Co-op 319 E Jefferson - 842-3450 (Telephone directory listing)
1979 - Farm Bureau Co-op Under New Management
(Telephone directory listing)
Culver - As of February 12 the Culver Branch of the Co-op is being managed by Janet Miller.
The only woman branch manager in the state of Indiana.
Janet worked at the Culver Co-op for three years as Assistant Manager then took a leave of
absence before the birth of her last son.
She has been Assistant Manager at the Rochester Branch for the past ten months.
She is the wife of Robert S. Miller. They have three sons. Cory 12, Christopher 9. and
Bobby 3. They reside three miles southwest of Culver.
Their hours are 8:00 to 5:00 weekdays, 8:00 to 12:00 Saturday. Except during fertilizer
and harvest season.
We are open for business and we are eager to serve.
A lot of people are under the impression that since the fire there is no longer a Co-op in
Culver
Jan wishes to assure everyone there certainly is one and we’re planning to take care of
your needs.
We don’t only handle fertilizer, grain and feed, there are many things we have or can get
within a days notice, tires, batteries, accessories, fence, farm supplies, household appliances,
building materials, so many things too numerous to mention.
Come in or call, you’ll be glad you did. - - 8 Mar. 1979
1988 - Farm Bureau Co-op 319 E Jefferson - 842-3450 (Telephone directory listing)
The way it was before the Cove; the area to the left in the above photo is the location of
this property.

 |
All of this area by 1989 or 1990 and more became the
Culver Cove -
The Farm Bureau Co-op property also included what had been the Medbourn Ice House property
which had the channel to the lake; for harvesting the ice from the lake on it and this was
structurally incorporated into the Culver Cove building running under it to the fountain near
the middle of the property. Building started in 1989 with
John J. Deery and others;
and and hit troubled times. Charles Edgington and a group of people picked up the pieces
and finished it in 1990 and 1991; and possibly into 2000. And trouble times hit several more
times and after fully constructed.
|