401 South Ohio
Section 20 History.
 |
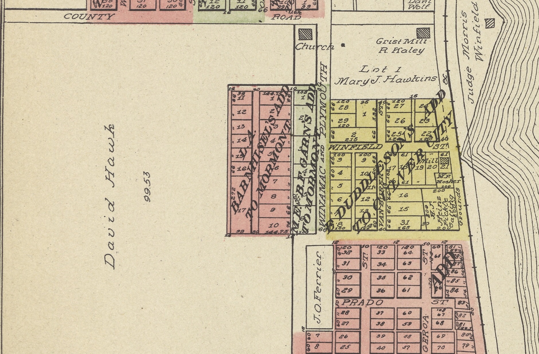
1894 - Incorporated Marmont - South Area -
Large Map |
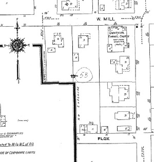
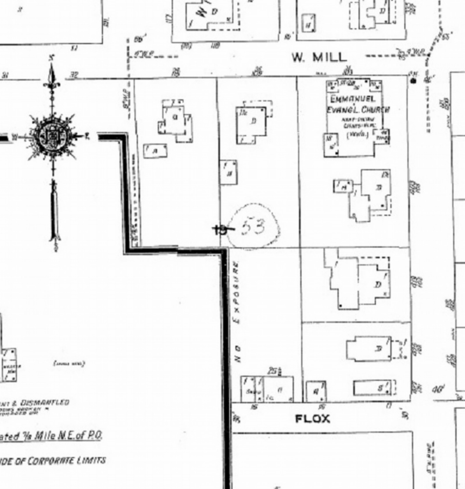
1906 - Sanborn Map Only covered Scott Street (later Lake Shore Dr.)to Madison;; small
section of Madison to the EUB church; Grist mill; buisness Toner Ave (later Lake Shore
Dr.) and the some of the academy.
 |
 |
1923 - There was only a very short street/ alley of access to properties
on the east until Oct 20, 1923 and filed Decmeber 22, 1923 when Edwin C. & Mary Hawk;
Ezra and Jennie Hawk & Walter G and Nettie Hawk deed enough land to probably extend
S. Ohio Street to Flox Street now Hakwins court |
 |
1929 - South Ohio from Mill to ? Plat Map -
click on image for larger |
 |
1936 Plat map of Area - click on for larger |
| 1948 - Plat Map of Area click for large version |
 |
 |
1956 -Plat map of area click for large version |
It is said this house was moved here from what is not the bank parking lot then the
State Exhange bank.
It would of been one of the following two.
1956 - Purchase Twp Properties
In order to accomplish and to carry our our improvements, we have heretofore purchased the Bess
Easterday and the Lottie Marshall-Duddleson properties so that we now own all of the property in
the block bounded by Jefferson Street on the south, Ohio Street on the west, Washington street
on the north and Main Street on the east, except the
Culver-union Township Public Lbrary building.
....We will remove the two houses located on the real estate which we have pruchased immediately
west of the bank and the old Methodist church property so that we can convert the same into a
50-car, modern parking space to be used by the genral pubic.
1957 - Oct. 2 - Bryce Bigley Moving House From Expanding Culver Bank
Bryce Bigley has purchased the house on the corner of West Jefferson and
Ohio Strees from the STate Exchange Ban and work was begun lasty week
to move ithe house about three blocks south to the corner of Ohio and West
Milll Streets. The contractor in charge of the moving is Frid Hite of Plymouth.
1961 - Phone Directory - 401 S. Ohio - J. Bryce Bigley
1961 - Oct 2 - was up for sale "401 S. Ohio: 4 bdr., 2 baths, barn.
ideal for large family
? - 1998, Jul. - Nancy Guess Manzuk
1998, July - 1999, Dec - MONNIER, DENNIS
1999, Dec - 2000, Sep. - Nancy Guess Manzuk
2000, Sep. 2007,May - Thomas C. Kamrow
| 2007,May - 2022 - Andrew J. and Rebecca A. Strati
|
 |
16RD W W LN PLY-WIN ST RD S LN PUB